Die optische Messtechnik eröffnet enorme Möglichkeiten für die Bauplanung, Baufortschrittsdokumentation und Instandhaltung. Das Fraunhofer IPM entwickelt – aufbauend auf Know-how in der Produktionskontrolle und der Infrastrukturerfassung – entsprechende Lösungen für die Bauwirtschaft.
(Quelle: Fraunhofer IPM)
Optische Messtechnik kann Prozesse am Bau optimieren und automatisieren – ein Potenzial, das bisher nur ansatzweise genutzt wird.
Auf der diesjährigen Fachmesse »Bau« in München zeigt das Fraunhofer-Institut für Physikalische Messtechnik IPM, wie ein Verfahren zur markierungsfreien Rückverfolgung hilft, Fehlerquellen auf der Baustelle zu reduzieren sowie die Authentizität von Bauelementen zu prüfen.
Zudem demonstriert das Fraunhofer IPM die Nutzung künstlicher Intelligenz für das Erfassen von Bestandsgebäuden.
Messungen mit Licht gehören zum Standard auf dem Bau. Handliche Laser-Entfernungsmesser sind seit über 20 Jahren für geometrische Messungen am Bau im Einsatz – und Fraunhofer IPM war maßgeblich an dieser Entwicklung beteiligt. Seither hat sich viel getan. Denn immer leistungsfähigere Laserquellen, Kameras und Grafikprozessoren ermöglichen heute extrem genaue Messungen und smarte Datenauswertung. Die optische Messtechnik bietet gewaltige Möglichkeiten für die Bauplanung, Baufortschrittsdokumentation und Instandhaltung. Fraunhofer IPM entwickelt – aufbauend auf Know-how in der Produktionskontrolle und der Infrastrukturerfassung – optische Messtechnik für die Bauwirtschaft.
Optische Messtechnik für markierungsfreie Rückverfolgung
Industriell vorfabrizierte Elemente wie zum Beispiel Fenster, Heizungen oder Befestigungselemente lassen sich mithilfe des am Fraunhofer IPM entwickelten Track & Trace Fingerprint-Verfahrens lückenlos rückverfolgen, ohne dass die Elemente gesondert markiert werden müssen. Die T&T Fingerprint-Technologie nutzt die Oberfläche der Bauteile für die Identifizierung. Das Kamerasystem nimmt dabei einen definierter Bereich der Objektoberfläche hochaufgelöst auf. Aus der Bildaufnahme des Bereichs mit seinen spezifischen Mikrostrukturen und deren Position wird eine numerische Kennung, der Fingerprint, errechnet und einer ID zugeordnet. Diese Paarung lässt sich dann in einer Datenbank hinterlegen und mit Planungsdaten für die Installation versehen. Außerdem lassen sich auch sehr kleine Bauteile, bei denen keine Markierung möglich ist, oder Bauteile mit funktionalen Oberflächen auf diese Weise erstmals rückverfolgen.
Auf der Baustelle können Anwender das Element an der entsprechenden Stelle mithilfe eines Smartphones fotografieren und per Zugriff auf die Fingerprint-Datenbank abgleichen. Die T&T-App liefert alle wichtigen Hinweise für die Installation – das gewährleistet den ordnungsgemäßen Einbau des Bauteil am richtigen Ort. Zusätzlich zeigt der Abgleich, ob es sich tatsächlich um das im Werk registrierte Original-Bauteil handelt. Auf diese Weise lassen sich Produktfälschungen entlarven, die gerade bei hochwertigen, sicherheitsrelevanten Bauteilen immer häufiger an der Tagesordnung sind. Ein weiterer Vorteil: Beim späteren Rückbau von Gebäuden liefert die Fingerprint-ID auch nach Jahren Informationen zum verbauten Element – so können Herstellerdaten wie zum Beispiel Materialzusammensetzung, Gewicht oder Hinweise zum fachgerechten Rückbau ausgelesen werden.
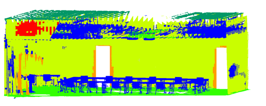
Bauplanung und Betriebsmanagement werden zunehmend digital. Die Erfassung von Bestandsbauten und die Dokumentation von Bauprozessen hingegen geschieht auch heute noch größtenteils manuell. Mit multimodalen Sensorsystemen lassen sich Gebäude oder Baustellen effizient und sehr genau vermessen. Fraunhofer IPM entwickelt Prozesse, um die Datenströme dieser Erfassungssysteme zu fusionieren und automatisiert in ein georeferenziertes, digitales 3D-BIM zu überführen. Eine speziell für den Kontext Bau trainierte KI reichert die Daten semantisch an: An die 30 Objektklassen wie zum Beispiel Fenster, Türen, Decken, Säulen oder Leuchten erkennt der Algorithmus automatisiert in den Messdaten. Die klassifizierten Messdaten lassen sich dabei in ein BIM-System überführen und bilden die Grundlage für verschiedenste Gewerke. Sogar bei einer großen Variationsbreite der Eingangsdaten erweist sich der Prozess als äußerst robust. Denn Objekte in Bilddaten und Punktwolken von statischen und mobilen Systemen lassen sich mit hoher Zuverlässigkeit erkennen.
(Scan2BIM: Daten verschiedener Sensoren wachsen zu einem multimodalen Datenstrom zusammen. Dieser lässt sich mithilfe KI-basierter Algorithmen automatisiert interpretieren und in ein BIM-Modell überführen. Die semantisch angereicherte Punktwolke eines Konferenzraums zeigt unter anderem Türen, Tische und Stühle. Bildquelle: Fraunhofer IPM)
Experten-Vorträge auf der Bau
»Multimodale Vermessung und KI-basierte Modellierung« Prof. Alexander Reiterer, Mittwoch, 19. April, 11:00 Uhr
»Asbest-Erkennung in RC-Beton« Recycling-Beton auf Kontaminationen (zum Beispiel Asbest) untersuchen – Laserinduzierte Plasmaspektroskopie (LIBS) macht es möglich Dr. Carl Basler, Freitag, 21. April, 11.20 Uhr
Auf der Bau 2023 finden Sie die Lösungen für die optische Messtechnik vom Fraunhofer IPM am Stand der Fraunhofer-Allianz BAU, Halle C2 / 528.
Stand: 16.12.2025
Es ist für uns eine Selbstverständlichkeit, dass wir verantwortungsvoll mit Ihren personenbezogenen Daten umgehen. Sofern wir personenbezogene Daten von Ihnen erheben, verarbeiten wir diese unter Beachtung der geltenden Datenschutzvorschriften. Detaillierte Informationen finden Sie in unserer Datenschutzerklärung.
Einwilligung in die Verwendung von Daten zu Werbezwecken
Ich bin damit einverstanden, dass die WIN-Verlag GmbH & Co. KG, Chiemgaustraße 148, 81549 München einschließlich aller mit ihr im Sinne der §§ 15 ff. AktG verbundenen Unternehmen (im weiteren: Vogel Communications Group) meine E-Mail-Adresse für die Zusendung von redaktionellen Newslettern nutzt. Auflistungen der jeweils zugehörigen Unternehmen können hier abgerufen werden.
Der Newsletterinhalt erstreckt sich dabei auf Produkte und Dienstleistungen aller zuvor genannten Unternehmen, darunter beispielsweise Fachzeitschriften und Fachbücher, Veranstaltungen und Messen sowie veranstaltungsbezogene Produkte und Dienstleistungen, Print- und Digital-Mediaangebote und Services wie weitere (redaktionelle) Newsletter, Gewinnspiele, Lead-Kampagnen, Marktforschung im Online- und Offline-Bereich, fachspezifische Webportale und E-Learning-Angebote. Wenn auch meine persönliche Telefonnummer erhoben wurde, darf diese für die Unterbreitung von Angeboten der vorgenannten Produkte und Dienstleistungen der vorgenannten Unternehmen und Marktforschung genutzt werden.
Meine Einwilligung umfasst zudem die Verarbeitung meiner E-Mail-Adresse und Telefonnummer für den Datenabgleich zu Marketingzwecken mit ausgewählten Werbepartnern wie z.B. LinkedIN, Google und Meta. Hierfür darf die Vogel Communications Group die genannten Daten gehasht an Werbepartner übermitteln, die diese Daten dann nutzen, um feststellen zu können, ob ich ebenfalls Mitglied auf den besagten Werbepartnerportalen bin. Die Vogel Communications Group nutzt diese Funktion zu Zwecken des Retargeting (Upselling, Crossselling und Kundenbindung), der Generierung von sog. Lookalike Audiences zur Neukundengewinnung und als Ausschlussgrundlage für laufende Werbekampagnen. Weitere Informationen kann ich dem Abschnitt „Datenabgleich zu Marketingzwecken“ in der Datenschutzerklärung entnehmen.
Falls ich im Internet auf Portalen der Vogel Communications Group einschließlich deren mit ihr im Sinne der §§ 15 ff. AktG verbundenen Unternehmen geschützte Inhalte abrufe, muss ich mich mit weiteren Daten für den Zugang zu diesen Inhalten registrieren. Im Gegenzug für diesen gebührenlosen Zugang zu redaktionellen Inhalten dürfen meine Daten im Sinne dieser Einwilligung für die hier genannten Zwecke verwendet werden.
Recht auf Widerruf
Mir ist bewusst, dass ich diese Einwilligung jederzeit für die Zukunft widerrufen kann. Durch meinen Widerruf wird die Rechtmäßigkeit der aufgrund meiner Einwilligung bis zum Widerruf erfolgten Verarbeitung nicht berührt. Um meinen Widerruf zu erklären, kann ich als eine Möglichkeit das unter https://kontakt.vogel.de/de/win abrufbare Kontaktformular nutzen. Sofern ich einzelne von mir abonnierte Newsletter nicht mehr erhalten möchte, kann ich darüber hinaus auch den am Ende eines Newsletters eingebundenen Abmeldelink anklicken. Weitere Informationen zu meinem Widerrufsrecht und dessen Ausübung sowie zu den Folgen meines Widerrufs finde ich in der Datenschutzerklärung, Abschnitt Redaktionelle Newsletter.
Bild oben: Ist das Bauteil tatsächlich vom gewählten Hersteller? Oder wurde stattdessen ein Billig-Bauteil geliefert? Das lässt sich dank der Track & Trace Fingerprint-Technologie auf der Baustelle einfach mithilfe eines Smartphones prüfen. Bildquelle: Fraunhofer IPM